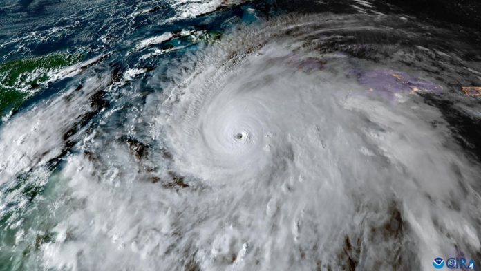
(EFE). El huracán Melissa, de categoría 5, amenaza con convertirse en uno de los huracanes más devastadores de los últimos años, a raíz de los vientos máximos sostenidos de casi 300 kilómetros por hora con los que tocará tierra en Jamaica y las fuertes lluvias que lo acompañan.
Antes de su entrada a Jamaica, prevista en los próximos minutos, Melissa ya se ha convertido en el huracán más potente y en el tercero de categoría 5 —la más alta en la escala Saffir-Simpson— en la actual temporada en el Atlántico.
Impresionante el sonido de los poderosos vientos del huracán #Melissa.
Se prevé que deje gran devastación a su paso, en Jamaica, por vientos de 295 km/h y ráfagas que superan 350 km/h. https://t.co/pFkGwZYFG6
Esta es la primera ocasión desde 2005 en la que se forman tres o más huracanes de máxima intensidad en el Atlántico. Aquel año observó cuatro ciclones de categoría 5, incluido el Katrina que arrasó el sur de Estados Unidos.
Leer más: Trump defiende los ataques a embarcaciones en el Caribe: “No estaban pescando”
Además, Melissa será el primer huracán que toque tierra en el Atlántico como categoría 5 desde 2019, cuando Dorian golpeó en Bahamas.
La velocidad de los vientos de Melissa también es la más alta registrada en lo que va de temporada, con vientos máximos sostenidos de 297 kilómetros por hora (185 millas).
La menor presión, mayor rapidez de los vientos
Este huracán es también uno de los que presenta una de las presiones más bajas en su ojo en la historia reciente, con 892 milibares.
A menor presión, la aceleración de los vientos es mayor, lo que eleva su velocidad y la intensidad del ciclón.
Wilma, con 882 milibares en 2005, y Gilbert, con 888 milibares en 1988, son los dos únicos huracanes del Atlántico registrados hasta la fecha con una presión inferior. Aunque Gilbert golpeó en Jamaica, lo hizo convertido en huracán de categoría 3.
En comparación, el devastador Katrina, el huracán más costoso en la historia reciente de Estados Unidos, presentó una presión mínima en su centro de 902 milibares.
En lo relativo a las lluvias, el huracán Melissa está en camino de imponer récords por la extrema acumulación que se pronostica, especialmente debido a la lentitud de su desplazamiento.
Melissa avanza actualmente a unos 9 kilómetros por hora, lo que puede agravar sus efectos en tierra.
Inundaciones en localidades al oriente de donde #Melissa está tocando tierra.
Se prevén lluvias extraordinarias durante las próximas 6 a 12 horas en Jamaica. https://t.co/WSPaVomhjd
Los pronósticos del Centro Nacional de Huracanes (NHC, en inglés) estiman que el ciclón genere lluvias acumuladas de entre 38 y 76 centímetros (15 a 30 pulgadas) sobre la isla, con máximos de hasta 1 metros (40 pulgadas), lo que provocará inundaciones repentinas y deslizamientos de tierra generalizados.

Desde que se formó el martes de la semana pasada, Melissa ha provocado la muerte de al menos nueve personas: tres en Jamaica, tres en Haití, dos en Panamá y una en República Dominicana.
El huracán Grace, en 2021, fue el último huracán que tocó tierra en Jamaica.
Tras su paso por esta isla caribeña, se espera que Melissa cruce el sureste de Cuba el miércoles y llegue a las Bahamas el jueves.










English (US) ·
Spanish (CO) ·